Boletín de 22 de octubre de 2018

InterDiarios
El avance de la caravana es una emergencia nacional: Trump.
A través de su cuenta de Twitter, el presidente Trump reiteró la alerta a los cuerpos policíacos y al Ejército mexicano acerca de que la caravana migrante es un tema de emergencia nacional.
Inmob. Grupo Uno:Costa Coronado
Brian Rea
Portadas
NAIM debe ser operado por privados: Slim
El Economista
El empresario propuso que se incluyan como inversionistas a las siefores, además de que las tasas de interés en Europa son una oportunidad.
Brian Rea
Portadas
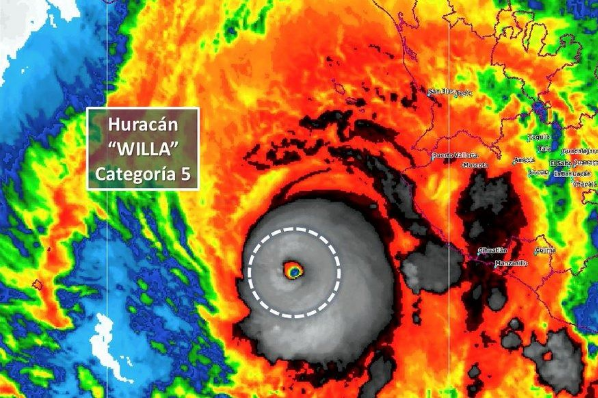
Huracán Willa alcanza la categoría 5 y avanza hacia costas mexicanas
Financiero
El Centro Nacional de Huracanes de Estados Unidos informó este lunes que el huracán Willa alcanzó la categoría 5 en la escala Saffir-Simpson, lo que lo hace potencialmente catastrófico.
Brian Rea
Portadas
Podría cerrar 2018 con 2,400 asesinatos
Sol de Tijuana
Con la tendencia actual, Tijuana rebasaría la cifra de dos mil 400 muertes violentas, aseguró el presidente del Consejo Ciudadano de Seguridad Pública de Baja California, Juan Manuel Hernández Niebla.
Brian Rea
Portadas
Aumentan negocios con aroma de café
El Frontera
Los lugares en donde se ofrecen diversas variedades y estilos de preparación de café han cobrado auge en Tijuana.
IPN CEC Tij
Empresariales
NAIM es una solución de largo plazo: Canaero
El Economista
El director de la Cámara Nacional de Aerotransportes, Rodrigo Pérez-Alonso, afirmó que el desarrollo de infraestructura aeroportuaria en México debe tener una visión de largo plazo, lo cual es un factor determinante a considerar previo a la participación de la sociedad en la próxima encuesta.
Estímulo fiscal a gasolinas, en su nivel más bajo del año... por lo que pagarás más
Financiero
La Secretaría de Hacienda redujo el estímulo fiscal que otorga a la gasolina Magna y Premium a su nivel más bajo del año, lo que implicaría para los automovilistas gasolinas más caras y un mejor balance en la recaudación de impuestos a los combustibles al cierre del año, según expertos.
Beneficiará Usmca a Ensenada: CMIC
El Vigia
El acuerdo alcanzado en materia comercial entre México y los Estados Unidos traerá certidumbre al inversionista extranjero y la industria de la construcción será uno de los sectores beneficiados, declaró, presidente de la Cámara Mexicana de la Industria de la Construcción.
Indigna a gasolineros que el IEPS se tome como bandera política
El Frontera
El presidente de la Asociación de Propietarios de Estaciones de Gasolina de Tijuana, Alejandro Borja Robles expuso que es indignante que el tema del IEPS sea tomado como bandera política.
AFN
Index y Teletón firman convenio para favorecer a familias
Info Baja
La Asociación de la Industria Maquiladora y de Exportación (INDEX) Zona Costa y el Centro de Rehabilitación Integral Teletón Baja California, firmaron un convenio buscando beneficiar a los empleados que laboran en las empresas afiliadas y a sus familias.
Señalan falta de juzgados en materia civil y familiar
Info Baja
La falta de apertura de nuevos juzgados en materia civil y familiar fue uno de los planteamientos que sostuvo la Confederación de Colegios y Asociaciones de Abogados de México (CONCAAM) A.C., en una reunión con el Magistrado Presidente del Tribunal Superior de Justicia...
Regionales
Cotuco cuenta con recursos por 13 mdp
Sol de Tijuana
El Comité de Turismo y Convenciones, encabezado por Gilberto Leyva Camacho, se encuentra gestionando los diferentes presupuestos que les serán destinados para poder llevar a cabo la promoción de la ciudad.
Es Baja California cuarto en generación de empleo
La Cronica
Con acciones emprendidas por la Administración Estatal que encabeza el gobernador Francisco Vega, en coordinación con diversos sectores de la Entidad, Baja California se posiciona como el cuarto Estado de México por generar mayor empleo formal en el País.
Ensenada si estaría incluida en ZEF
El Vigia
El municipio de Ensenada si estaría incluido en la reducción del IVA e ISR, ya que existen estudios en el equipo de transición de Andrés Manuel López Obrador que consideran que la Zona Económica Fronteriza debe abarcar a todo Baja California, aseguró Adolfo Solís Farías, especialista fiscal.
Sector industrial requiere de seis mil ingenieros en Tijuana : Bernabé Esquer
El Mexicano
El sector industrial en la ciudad requiere en promedio de seis mil ingenieros, por lo que el XII Ayuntamiento está gestionando la apertura de un nuevo Instituto Tecnológico en la zona este, reveló Bernabé Esquer Peraza, titular de la Secretaría de Desarrollo Económico de Tijuana .
Ashley Furniture
Spectrum Brands abre sus puertas a practicantes de CAED
Siglo 21
La empresa del sector metalmecánico es la primera empresa a nivel nacional en brindar a jóvenes con discapacidad un espacio para realizar sus prácticas profesionales.
Refuerzan lazos con 4to encuentro industrial DIMBC
Siglo 21
Más de 180 expositores, dos mil visitantes y un nutrido programa de conferencias, reunirá a lo mejor de la industria regional y nacional el próximo 22 de agosto informó la Directora General del Directorio de la Industria Maquiladora de Baja California
Columnas
En Voz Baja
La Voz
Mientras en esta semana el Consejo de Participación Ciudadana del Sistema Estatal Anticorrupción -que preside JORGE TOPETE CALVARIO- tiene que definir fechas para selección del secretario técnico que se ha polemizado con los dos finalistas, el Congreso del Estado está pendiente de la ...
Indicador político
El Vigia
Entre los mexicanos deportados por Clinton, Obama y ahora Trump y la creciente migración centroamericana que pasa a EU o se queda aquí, los gobiernos mexicanos de Fox, Calderón, Peña Nieto y López Obrador han ignorado que no se trata de un asunto social sino de seguridad nacional.